Why Am I Seeing Oriental Cockroaches?

Oriental cockroaches are one of the larger species of roaches. Despite their name, they are thought to have originated in Africa. They are also known as waterbugs (because of their habitats) and black beetle cockroaches (because of their appearance). Like any other roach species, these cockroaches can spread diseases to humans, contaminate surfaces in your home, and trigger allergies and asthma.
Although they are active year-round, oriental roaches are more prevalent in the warmer months. They are often found crawling around toilets, pipes, and sinks. In fact, once indoors they are known to live in rarely used sink drains, garbage disposals, under cabinets with plumbing, and in bathroom voids. Outdoors they are found in flower beds, under mulch, in woodpiles, or anywhere there is moisture. They get into your home under doors, gaps in siding, through pipes, sewers, and drains.
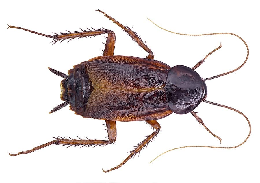
Oriental cockroaches are smooth and shiny black in appearance. They grow to about 1″ in length. Males are smaller than females and have wings. Females are much larger with no wings. Although the males have wings, they are unable to fly.
Once you’ve identified the oriental cockroach, the next question is why are they in your house? Oriental cockroaches are attracted to moisture; in fact, they depend on it for survival. If you’re seeing oriental cockroaches, odds are you have excessive moisture somewhere in your home. This could be a leaky pipe or faucet, leaky roof, moisture-laden crawlspace, clogged gutters, standing water in your yard, overpopulated flowerbeds that hold moisture, etc.
To get rid of these pests, check out these oriental cockroach prevention tips:
- Vacuum often and sweep up crumbs.
- Keep kitchens and bathrooms clean.
- Use a dehumidifier, especially in crawlspaces, to help control moisture.
- Seal entry points with a silicone-based caulk.
- Consider crawlspace enclosure.
- Eliminate standing water on your property.
- Divert water away from foundations with downspouts and splash blocks.
- Keep gutters clean or consider installing gutter guards.
- Repair any leaks immediately.
If you have a problem with oriental cockroaches or other pests, contact your local pest control company for a thorough evaluation.
Categories
- Bed Bug
- Blog
- Commercial
- Commercial Pest Control
- Community News
- Community/Events
- Community/Events
- Company News
- CrawlSpace
- DIY
- DIY Home Care
- DIY Mosquito Control
- DIY Pest Control
- DIY Wildlife Prevention
- Dr. Goo's Corner
- Fire Ant
- Florida Blogs
- Florida Crawlspace
- Florida Green Pest Control
- Florida Insulation
- Florida Mosquito Control
- Florida Pest Control
- Florida Snake Control
- Florida Termite Control
- Georgia Blogs
- Going Green
- Good Deed Team
- Green Commercial Pest Control
- HealthySpace
- In2Care
- Insulation
- LeafProof
- Mosquito
- New Construction
- Pest Control
- Snake Control
- Teammate Celebration
- Tennessee Blogs
- Termite Control
- Uncategorized
- Wildlife
