READY TO GET STARTED?
REQUEST A FREE ESTIMATE
Fill out the form below or call (888) 466-7849 for a free, no-obligation estimate.
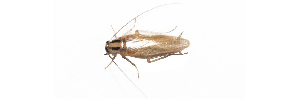
One of the lesser known species of cockroaches, the oriental cockroach (Blatta orientalis), also known as the black beetle cockroach and the waterbug, is actually one of the largest next to its cousin, the American cockroach. These pests are great at hiding and fitting into tight locations and have adapted to thrive both indoors and outdoors. Let’s take a look at how to identify Oriental cockroaches, as well as some cockroach prevention tips.
The Oriental cockroach is dark brown to nearly black in color with a smooth shiny exoskeleton. Although not quite as big as American cockroaches, these bugs do get up to 1 inch in length. Males are slightly shorter than females with stubbed wings and females are longer and skinnier without wings.
These roaches are found throughout the United States and prefer warm, moist, dark locations. They thrive outdoors, often residing under piles of leaves, mulch, stone, wood, flower beds, and debris. They will travel through sewers and can come into your home through pipes and drains. Indoors, they can be found in rarely used sink drains, garbage disposals, under cabinets with plumbing, and in bathroom voids.
Oriental roaches are omnivores, eating nearly any type of food source but preferring decaying plants and rotting garbage. They will also make do with crumbs, pet food, and leftover human food, too. They are very dependent on water which is why they are usually found in areas with high moisture. They can survive up to 1 month with no food but only 2 weeks without water.
These cockroaches are slower than most of their counterparts. They prefer to be active outdoors and are nocturnal. Males have wings but don’t fly. They have a lifespan of 1 to 6 months and their reproduction is seasonal – they produce more eggs in the spring and summer than they do the rest of the year.
Oriental cockroaches are dangerous to humans as they are known to transmit bacteria such as E. coli and salmonella. Because they eat decaying food and other material, they can contaminate food and other surfaces with the pathogens picked up from their food sources. They also excrete odors which can trigger allergies and asthma in those affected.
There are 3 main signs of Oriental cockroaches in your home:
If you have a problem with cockroaches of any kind, contact a professional pest control company for proper identification, potential points of entry, and the most up to date treatment options available.
Kudzu Bugs vs. Brown Marmorated Stink Bug: What’s the Difference?
When cockroaches are spotted in your home several questions may run through your mind. The first one is most likely “Oh no,what do I do?” followed closely by “How do I get rid of them?” Once you get over the shock of having one scurry across your floor or countertop, several more questions may come to mind.
What attracts cockroaches? Cockroaches aren’t just attracted to dirty or cluttered houses. Roaches will come indoors in search of 4 things – food, water, heat, and shelter. While dirty or cluttered houses can provide an ample supply of food and shelter, clean houses can provide many of these necessities for roaches, as well. Appliances offer a source of heat so roaches are often found under or behind them. Leaky faucets or pipes can provide a water supply no matter how clean your home is.
Are cockroaches dangerous? The answer to this is a resounding yes. Cockroaches are known to carry bacteria that can cause illnesses in humans, such as salmonella, when it is deposited on your food or food prep surfaces. Roach excrement, shed body parts, eggs, and even saliva have been proven to trigger allergic reactions and asthma in affected people.
What do cockroaches look like? You may wonder why this is important. After all, a cockroach is a cockroach, right? Different species of cockroaches have different habits and require different treatments to completely eliminate a roach infestation from your home. While there are many different species of cockroaches worldwide, there are a few that are common to Georgia. Here’s how to identify each of them to help ensure you get the proper treatment.

The American cockroach is the largest and most common cockroach found in homes in Georgia. These roaches are a chestnut to light brown color with light yellow bands around the shield behind their heads. They are large with adults approximately 2 inches in length. Male and female American cockroaches have wings and they are capable of flying short distances. This species can live up to 2 years. They are active at night and are often found around water sources like pipes, sewers, and basements. They are also commonly found in kitchens and bathrooms. They often cohabitate with smokybrown and Oriental cockroaches.

The German cockroach is another easily recognizable cockroach in Georgia. These roaches are tan with dark brown parallel stripes on the back of their upper thorax. They are smaller than their American counterparts with adults measuring about 1/2″ to 5/8″. German roaches can live up to 12 months. This species is also active at night and are often found in kitchens near food and heat supplies from appliances. They also produce more eggs than any other species.

The Oriental cockroach is another common species in Georgia. They are glossy with cherry to black coloring. They are large with adults measuring 1 to 1.25 inches in length. Males have short wings but females are wingless. These roaches can live up to 6 months. Although they often cohabitate with American cockroaches, they are not usually found indoors. Instead they are found outdoors where they feed primarily on decaying matter. They are active at night and have habits similar to their smokybrown cousins.

The Asian cockroach is tan with double parallel strips on their backs. They are often mistaken for German cockroaches. They are a smaller species with adults measuring 1/2″ to 5/8″. These roaches are also found outdoors usually under mulch, leaf litter, or high grass. They usually only come indoors when their outdoor habitat is disturbed. These roaches can fly and are attracted to light.

The smokybrown cockroach is dark cherry or red in color. They are large with adults around 1.5 inches in length. They prefer habitats in Southern neighborhoods with mature hardwood trees because they require high humidity and protection from the wind in their shelter. They can often be found in tree holes, attics, crawlspaces, and sheds. They are active at night.
Although you can take some preventative measures to keep roaches out of your home like tidying up, keeping kitchens and bathrooms clean, fixing leaks, and sealing cracks and crevices, they are resilient pests and can often be difficult to eliminate. Contact a professional pest control company who can help properly identify the type of roach(es) you are dealing with, locate points of entry and food and water sources, and effectively and safely eliminate them from in and around your home.
Crane Flies – Are Those Giant Mosquitoes?!
Digger Bee Mounds vs Fire Ant Mounds
While they aren’t one of the most common cockroach species that are talked about, the brown banded cockroach (Supella longipalpa) can cause problematic infestations like their German and American counterparts. These roaches are one of the smallest species of invasive cockroaches with adults reaching lengths of about 11 to 14 mm. They are found throughout the United States. Brown banded cockroaches are named because of the light brown or tan double bands found on their bodies. These bands are found on the wings of adults and the bodies of the young. They are often confused with German cockroaches.
What attracts cockroaches is pretty simple: food, shelter, and water. These cockroaches need warm temperatures to survive and will often make their way into your home in search of food and shelter. They most often hitch a ride inside on infested furniture (where they often leave their egg casings), grocery items, deliveries, food products, and electronics. Once inside, they are commonly found in living areas where they have access to food supplies and hiding places. They tend to stay in drier locations that are at higher elevations, such as the upper cabinets in kitchens and bathrooms.
When you spot a cockroach in the house one of the first questions people ask is “are cockroaches dangerous?” The answer to that is yes, they can be. Brown banded roaches will feed on anything from trash and food crumbs to nylon stockings and glue. They are known to carry and spread 33 different bacteria, 6 different parasitic worms, and 7 kinds of human pathogens. They pick up these germs on the spines of their legs and bodies and spread them to any surface they touch. They are also known to trigger allergies and asthma in humans.
Once roaches have taken up residence in your home they can proliferate rapidly. They can be quite difficult to eliminate once they are there. The best way to handle roaches of any species is to prevent them from getting indoors in the first place. Check out these cockroach prevention tips:
Cockroaches: A Possible Allergy Trigger
Why Are Mosquitoes Inside My Home?
Mouse vs Rat: Can You Spot The Difference?
As Springtime approaches, allergies are bound to follow. Many tend to blame the plant pollens for their sneezing and watery eyes. Although pollen can trigger your allergy symptoms, there could be another reason why your allergies are flaring up this Spring: Cockroach allergies.
Signs and Symptoms of a Roach Allergy
Cockroaches might not be the first reason you think of when you start to get allergies, surprisingly though, they can be the cause of your allergies and asthma. According to the American College of Allergy, Asthma & Immunology the saliva, feces, and shedding parts of cockroaches can trigger both asthma and allergies, acting like dust mites. The common symptoms of cockroach allergies can be coughing, sneezing, asthma attacks, nasal congestion, sinus and/or ear infection, itchy red or watery eyes, and skin rashes.
Preventing Roaches from Inside the Home:
In a survey conducted by the Asthma and Allergy Foundation of America (AAFA) and the National Pest Management Association (NPMA), the allergists surveyed believed that a pest-free home is the most important factor in preventing asthma and allergy systems.
Knowing what attracts roaches can help you prevent a roach infestations. Here are some preventative tips to keep roaches out of your home:
Cockroaches can be one of the most difficult pests to eliminate. If you find yourself using the tips above but are still seeing roaches in your house, contact a pest control company. An exterminator will be able to identify where and how the roaches are entering your home and eliminate them to protect you and your family’s health.
Cockroaches carry many diseases and can cause several health issues in humans including food poisoning and can trigger allergies and asthma attacks. So where do roaches come from?
If you have a roach infestation in your home, there could be several reasons why. Roaches may have already been in your home before you moved in. Roaches are also very good hitchhikers and are easily transported from one place to another. They can get into your home in grocery bags, cardboard boxes, luggage, furniture, or appliances. They can also get in through the plumbing, sewers or drains. They can travel over from your neighbor’s home into yours, too.
But what attracts cockroaches if your house is clean? Like most pests, roaches are looking for three main things: food, shelter, and water. They are year-round pests and are incredibly resilient – making them difficult to control. Different species of cockroaches are attracted to and thrive in different environments.
German cockroaches are the most common indoor roaches. They prefer dark, warm, humid places near food and water, preferably in a temperature range of 70 to 75 degrees Fahrenheit. You can usually find German roaches in kitchens, in cracks and crevices of cabinets, near sinks or appliances, and in food prep and storage areas. They can also be found in bathrooms when the roach infestation is heavy. Early detection and control of german roaches is extremely important as they can be very hard to get rid of.
Oriental roaches prefer dark, damp, cool habitats. Outdoors you can usually find them where there is an abundant supply of organic matter like mulch or wood chips, under patio bricks, or between the soil and your foundation. Once inside your home, they are often found in drains, basements, and crawlspaces. They can also be found near leaky water pipes, under sinks, refrigerators, floors, and washing machines.
Brown-banded roaches prefer warmer, drier places (greater than 80 degrees Fahrenheit). They live in higher areas, usually at eye level or above, like your cabinets, pantries, closet shelves, behind pictures, in books, or under kitchen tables and chairs. They can also be found in warm areas such as near clocks, timers, TVs, and refrigerator motors.
American cockroaches are found in homes, restaurants, bakeries, and grocery stores – anywhere food is prepped and stored. They prefer warm, moist environments and can often be found in boiler rooms, basements, around pipes and water heaters, and in drains and sewers.
Here are some tips to prevent roaches from infesting your home:
Clean up spilled crumbs and food immediately. Don’t leave dirty dishes out overnight. Throw away any food that is left out on the counter. Wipe down the surface of all food prep areas every night. Clean under your appliances and wipe down any that are on your counter. Make sure to clean underneath the refrigerator and stove, also. Rinse out milk jugs, juice cartons, and cans before throwing them away. Empty your garbage can every night and use garbage cans with tight fitting lids. Check kitchen drawers for any food debris and crumbs. Store food in airtight containers. Store pet food in airtight containers and elevate them off the floor. Don’t leave your pet’s food and water bowls out overnight. Roaches communicate through chemical pheromones they secrete as they move. Cardboard and paper are excellent absorbers of these pheromones. Replace cardboard boxes with plastic containers if possible. Don’t bring any cardboard boxes used for storage inside the home. Don’t store piles of newspapers – recycle them instead.
Carefully inspect the interior and exterior of your home. Seal any gaps or crevices you find, even the smallest ones. Roaches can squeeze through the tiniest openings to get into your home. Use weatherstripping around all entryways including doors and windows. Declutter as much as possible. Roaches can also get into your home through drainpipes. Use stoppers or metal baskets on all the drains in your sink and shower and make sure to keep your drains clean. Roaches will also hitch rides on firewood. Make sure to only bring in enough wood for one fire and don’t store any extra wood inside.
Most species of roaches prefer moist areas so eliminating water is key to helping prevent them. Remove any standing water in and around your home. Check for leaks and repair them promptly. Use caulk to seal gaps around your sink and tubs to keep water out of the walls. Don’t let water stand for long periods of time in plants and flowerbeds. Don’t leave your pet’s water bowls out overnight. Hang any wet towels and mats up to dry after using them. Keep your kitchen sponges dry and don’t store them on the counter.
Roaches can be incredibly difficult to control and eliminate. If you have a roach problem, contact a professional pest control company or schedule a free pest inspection now. A pest control technician can thoroughly inspect your home to identify not only where and how roaches are getting into your home, but also the specific type of roaches to better treat and eliminate them.
Why Are There so Many Millipedes in my House?
Is Your Hotel on the Bed Bug Registry?
Lawn Survival Tips for the Summer Heat
What Attracts Cockroaches to a Clean House?
Is Termite Protection Worth It?